

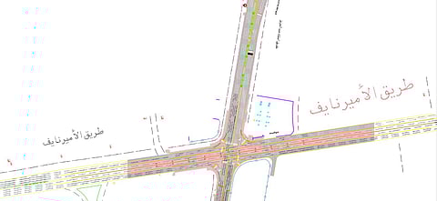
تبدأ #أمانة_الشرقية، وبالتنسيق مع إدارة #مرور_الشرقية، اليوم الثلاثاء 28 يناير 2025، إغلاق إشارة تقاطع جسر شارع الأمير نايف مع طريق الملك عبدالعزيز في #الدمام، وذلك ضمن أعمال صيانة الطرق والمحاور الرئيسة.
وأوضحت "الأمانة"، أن الإغلاق يأتي بهدف إلغاء الإشارة المرورية وتحسين انسيابية الحركة المرورية، مع استمرار إتاحة الحركة على طريق الملك عبدالعزيز لضمان عدم تأثر تدفق المركبات.
ودعت "الأمانة"، مستخدمي الطريق، إلى توخي الحذر واتباع المسارات البديلة لضمان سلامة الجميع.