

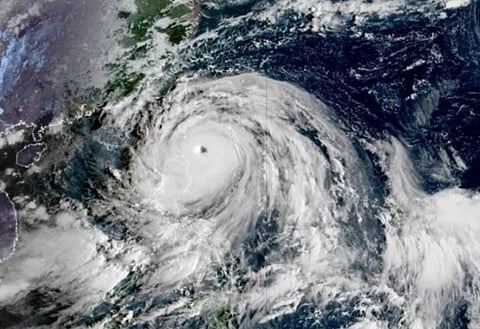
ضرب الإعصار "راغاسا" شمال الفلبين متسببًا برياح عاتية أدّت إلى سقوط أشجار وأسقف، وإصابة شخص بجروح طفيفة، فيما أعلنت مدينة شنجن الصينية استعدادها لإجلاء نحو 400 ألف شخص تحسبًا لوصول الإعصار.
وأغلقت السلطات في مانيلا و29 مقاطعة أخرى المدارس والمباني الحكومية، محذّرة من احتمال وقوع فيضانات وانهيارات أرضية جراء الأمطار الغزيرة المصاحبة للإعصار.
وفي الصين، أعلنت شنجن ومدن أخرى تعليق الدراسة ووقف وسائل النقل العام كإجراء احترازي، إلى جانب إلغاء أكثر من 500 رحلة جوية. وتوقعت هونغ كونغ هبوب رياح قوية وهطول أمطار غزيرة خلال الساعات المقبلة.
وأكد خبراء الأرصاد أن التغير المناخي يسهم في زيادة شدة وتكرار الظواهر الجوية المتطرفة، ما يستدعي تعزيز الاستعدادات لمواجهة مثل هذه الكوارث الطبيعية.